Information last updated on 11/29/2015 12:00 AM

  • | WC 
  •   Έτος Κατασκευής 
  •   Parkings 
Υπολογισμός Δανείου
Συμπληρώστε το Επιτόκιο (χωρίς το σύμβολο %} και τη Διάρκεια αποπληρωμής σε έτη. Αν επιθυμείτε μπορείτε να αλλάξετε και το ποσό
Ενδιαφέρεσαι για χρηματοδότηση για το συγκεκριμένο ακίνητο; Συμπλήρωσε την παρακάτω φόρμα επικοινωνίας και θα σε καλέσουμε.

Φόρμα Επικοινωνίας *

*
*
Εισάγετε τους χαρακτήρες
Συμπληρώστε την φόρμα και πατήστε αποστολή. Τα πεδία με * είναι υποχρεωτικά
* Δεν χρηματοδοτούμε ακίνητα ωστόσο διευκολύνουμε τη χρηματοδότηση από άλλες Τράπεζες.

Χαρακτηριστικά

  • Κατηγορία  Αξιοποιήσιμη Γη
  • Τύπος 
  • Κατάσταση 
  • Τ.μ. Οικοπέδου 
  • Επίπεδα 
  • WC 
  • Τιμή/τ.μ.  79€
  • ΠΕΑ 
  • Σ.Δ.  0,8
  • Σ.Κ.  0,6
  • Χρήση Γης 
  • Σχέδιο Πόλεως 

Επιπλέον Χαρακτηριστικά

  • Οικοδομήσιμο
  • Προσόψεως
  • Επίπεδο
  •  

Περιγραφή

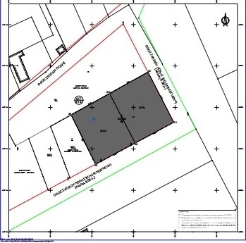
Αλμυρός, Κέντρο, Οικόπεδο Προς Πώληση, 570 τ.μ., Πρόσοψη (μ): 21, Βάθος (μ): 27, Σ.Δ: 0,8, Σ.Κ: 0,6, Χαρακτηριστικά: Οικοδομήσιμο, Προσόψεως, Επίπεδο, ΤΟ ΟΙΚΟΠΕΔΟ ΒΡΙΣΚΕΤΑΙ ΣΤΗΝ ΕΠΕΚΤΑΣΗ ΤΟΥ ΑΛΜΥΡΟΥ ΚΑΙ ΣΕ ΑΠΟΣΤΑΣΗ 700 ΜΕΤΡΩΝ ΑΠΟ ΤΟ ΚΕΝΤΡΟ, ΔΙΑΤΙΘΕΤΑΙ ΚΑΙ ΤΟ ΔΙΠΛΑΝΟ ΓΩΝΙΑΚΟ ΟΙΚΟΠΕΔΟ 570 Τ.Μ. ΕΠΙΣΗΣ, ΥΠΑΡΧΕΙ ΣΥΓΧΡΟΝΟ ΤΟΠΟΓΡΑΦΙΚΟ ΠΟΥ ΑΝΑΓΡΑΦΕΙ ΜΕ ΣΑΦΗΝΕΙΑ ΤΟΥΣ ΟΡΟΥΣ ΔΟΜΗΣΗΣ, ΑΠΟΣΤΑΣΗ ΑΠΟ ΤΗΝ ΠΑΡΑΛΙΑ ΤΟΥ ΑΛΜΥΡΟΥ 6 χλμ, ΤΙΜΗ ΣΥΖΗΤΗΣΙΜΗ, Τιμή: 45.000€. ZANKO ΚΤΗΜΑΤΙΚΗ Α.Ε., Τηλ. Επικοινωνίας: 2109801888, email: realestate@zanko.gr

Χάρτης

Στατιστικά Ακινήτου

Συνολικές επισκέψεις:
  • Δημοσίευση Ακινήτου: 27 Μαρ, 2026
  • Τελευταία ενημέρωση: 27 Μαρ, 2026
logo (Προς Πώληση) Αξιοποιήσιμη Γη Οικόπεδο || Ν. Μαγνησίας/Αλμυρός - 570 τ.μ, 45.000€


Χαρακτηριστικά

Έτος Κατασκευής: Σ.Δ.: 0,8 Σ.Κ.: 0,6 Χρήση Γης: Σχέδιο Πόλεως:
Περιοχή: Αλμυρός (Δ. Αλμυρού) Υποπεριοχή: Κέντρο Κατηγορία: Αξιοποιήσιμη Γη
Τύπος: Οικόπεδο Τιμή: 45.000€
Εμβαδόν m2: 570 Υ/Δ:
WC
Μπάνια: Όροφος:
ΠΕΑ: Κωδικός: 1885861

Επιπλέον Χαρακτηριστικά

Οικοδομήσιμο Προσόψεως Επίπεδο
 

Περιγραφή

Αλμυρός, Κέντρο, Οικόπεδο Προς Πώληση, 570 τ.μ., Πρόσοψη (μ): 21, Βάθος (μ): 27, Σ.Δ: 0,8, Σ.Κ: 0,6, Χαρακτηριστικά: Οικοδομήσιμο, Προσόψεως, Επίπεδο, ΤΟ ΟΙΚΟΠΕΔΟ ΒΡΙΣΚΕΤΑΙ ΣΤΗΝ ΕΠΕΚΤΑΣΗ ΤΟΥ ΑΛΜΥΡΟΥ ΚΑΙ ΣΕ ΑΠΟΣΤΑΣΗ 700 ΜΕΤΡΩΝ ΑΠΟ ΤΟ ΚΕΝΤΡΟ, ΔΙΑΤΙΘΕΤΑΙ ΚΑΙ ΤΟ ΔΙΠΛΑΝΟ ΓΩΝΙΑΚΟ ΟΙΚΟΠΕΔΟ 570 Τ.Μ. ΕΠΙΣΗΣ, ΥΠΑΡΧΕΙ ΣΥΓΧΡΟΝΟ ΤΟΠΟΓΡΑΦΙΚΟ ΠΟΥ ΑΝΑΓΡΑΦΕΙ ΜΕ ΣΑΦΗΝΕΙΑ ΤΟΥΣ ΟΡΟΥΣ ΔΟΜΗΣΗΣ, ΑΠΟΣΤΑΣΗ ΑΠΟ ΤΗΝ ΠΑΡΑΛΙΑ ΤΟΥ ΑΛΜΥΡΟΥ 6 χλμ, ΤΙΜΗ ΣΥΖΗΤΗΣΙΜΗ, Τιμή: 45.000€. ZANKO ΚΤΗΜΑΤΙΚΗ Α.Ε., Τηλ. Επικοινωνίας: 2109801888, email: realestate@zanko.gr

Αναλυτική Περιγραφή

Δεν υπάρχει διαθέσιμη
 

Στατιστικά Ακινήτου

Δημοσίευση Ακινήτου: 27 Μαρ, 2026
Τελευταία ενημέρωση: 27 Μαρ, 2026
Συνολικές επισκέψεις:

Loading...