Information last updated on 11/29/2015 12:00 AM
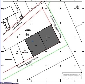
Αλμυρός, Κέντρο, Οικόπεδο Προς Πώληση, 1.140 τ.μ., Πρόσοψη (μ): 43, Βάθος (μ): 27, Σ.Δ: 0,8, Σ.Κ: 0,6, Χαρακτηριστικά: Οικοδομήσιμο, Προσόψεως, Επίπεδο, ΤΟ ΟΙΚΟΠΕΔΟ ΒΡΙΣΚΕΤΑΙ ΣΤΗΝ ΕΠΕΚΤΑΣΗ ΤΟΥ ΑΛΜΥΡΟΥ ΚΑΙ ΣΕ ΑΠΟΣΤΑΣΗ 700 ΜΕΤΡΩΝ ΑΠΟ ΤΟ ΚΕΝΤΡΟ, ΥΠΑΡΧΕΙ ΣΥΓΧΡΟΝΟ ΤΟΠΟΓΡΑΦΙΚΟ ΠΟΥ ΑΝΑΓΡΑΦΕΙ ΜΕ ΣΑΦΗΝΕΙΑ ΤΟΥΣ ΟΡΟΥΣ ΔΟΜΗΣΗΣ, ΑΠΟΣΤΑΣΗ ΑΠΟ ΤΗΝ ΠΑΡΑΛΙΑ ΤΟΥ ΑΛΜΥΡΟΥ 6 χλμ, ΤΙΜΗ ΣΥΖΗΤΗΣΙΜΗ, Τιμή: 98.000€. ZANKO ΚΤΗΜΑΤΙΚΗ Α.Ε., Τηλ. Επικοινωνίας: 2109801888, email: realestate@zanko.gr